Villa/Chalet independiente T3 Para Venta

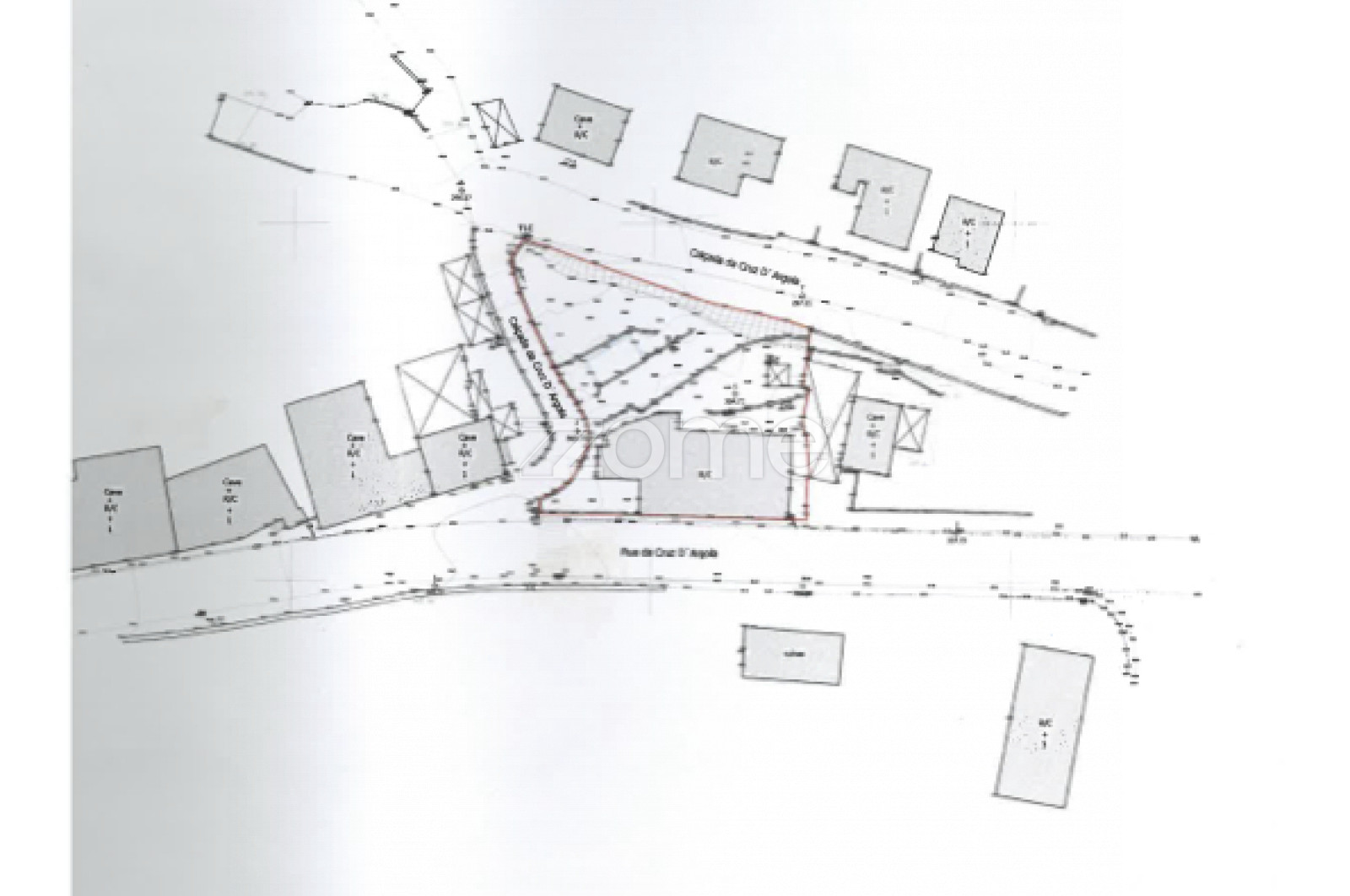
🏡 Terreno em Mesão Frio com Viabilidade para Construção em Altura

Mesão Frio   Guimarães   Braga

ID ZMPT572374

530.000

Todas las fotos
Características
  • 3 Dormitorios
  • 6 Estancias/Dependencias
1 Patio / Jardín
Buena luminosidad
Distancia a la ciudad
Vistas a la ciudad
  • ESTADO DE CONSERVACIÓN: Necesita Renovación
  • ÁREA ÚTIL: 1117m2
  • ÁREA BRUTA: 1117m2
  • ÁREA TERRENO : 1117m2
Detalles
Identificación de propiedad: ZMPT572374

🏡 Terreno em Mesão Frio com Viabilidade para Construção em Altura

🌟 Apresentamos um terreno em Mesão Frio, com um conjunto de moradias para recuperar ou demolir, perfeito para quem procura um projeto de...
Ver más
Localización
Abrir en Google Maps
Vista de la calle
Contacto

ZOME Be

Rua Teixeira de Pascoais, nº 71 - A
4800-073 Guimarães

AMI 22240

Copyright Zome Luxury® 2020. Todos los derechos reservados.
Política de privacidad Términos y condiciones Resolución alternativa de litigios
Llamar
Contactar Ya!